½ÚÄÜ»·±£
ÐÅÐÄ2022 | ºÓÄÏÈðÌ©£º×°Åäʽ½ÚÄÜÒ¤³ÄÊÖÒÕÖúÍÆË®Ä๤ҵ½ÚÄܽµÌ¼
ȪԴ£ºÎ¤µÂÍøÕ¾¹Ù·½Èë¿Ú×ÜÔº¡¢ÈðÌ©¿Æ¼¼ Ðû²¼Ê±¼ä£º2022-05-20
ΤµÂÍøÕ¾¹Ù·½Èë¿Ú¼¯ÍŸ÷¼¶ÆóҵսʤÒßÇéÓ°ÏìµÈÌôÕ½£¬£¬£¬£¬£¬£¬£¬Ò»·½Ãæ½ô×¥Õ½Òß±£¹©£¬£¬£¬£¬£¬£¬£¬Ò»·½Ãæ½ôץı»®¹ÜÀí¡£¡£¡£¡£¡£2022Äê5ÔÂ11ÈÕ¼¯ÍÅÔ¶ÈÊÂÇé»á׼ȷÆÊÎöÑÐÅо¼ÃÐÎÊÆ£¬£¬£¬£¬£¬£¬£¬Ã÷È·Ìá³öϵÁÐÓ¦¶Ô²½·¥£¬£¬£¬£¬£¬£¬£¬ÒªÇó¸÷¼¶ÆóÒµ¼á¶¨ÐÅÐÄ¡¢¶¢½ôÄ¿µÄ¡¢Á·ºÃÄÚ¹¦¡¢Ðͬ×÷Õ½£¬£¬£¬£¬£¬£¬£¬Ç¿»¯¡°Èý¾«¹ÜÀí¡±¡¢×¢ÖØÊÝÉí½¡Ì壬£¬£¬£¬£¬£¬£¬Ç¿»¯ÓÅ»¯Éý¼¶¡¢×¢ÖØÇ¿Éí½¡Ì壬£¬£¬£¬£¬£¬£¬ÇÐʵ½µµÍ±¾Ç®¡¢½ô¶¢Êг¡¡¢ÌáÉýÏúÊÛˮƽ......È«Á¦ÒÔ¸°ÎÈÔöÌí£¬£¬£¬£¬£¬£¬£¬ÓÄѶøÉÏ×¥Éú³¤¡£¡£¡£¡£¡£ÏÂÃæ¸úСÁÏÒ»ÆðÈ¥¿´¿´£¬£¬£¬£¬£¬£¬£¬¼¯ÍÅÆóÒµ½ÓÄÉÁËÄÄЩÓÐÁ¦²½·¥¡¡
ºÓÄÏÈðÌ©£º
×°Åäʽ½ÚÄÜÒ¤³ÄÊÖÒÕÖúÍÆË®Ä๤ҵ½ÚÄܽµÌ¼
ΤµÂÍøÕ¾¹Ù·½Èë¿Ú×ÜÔºËùÊôÈðÌ©¿Æ¼¼³ÉÔ±ÆóÒµºÓÄÏÈðÌ©³Ð¼Ì¡°Á¢Òì¡¢¼¨Ð§¡¢Ðµ÷¡¢ÔðÈΡ±µÄ½¹µã¼ÛÖµ¹Û£¬£¬£¬£¬£¬£¬£¬¾ÓÉÊ®¶àÄêµÄÉú³¤£¬£¬£¬£¬£¬£¬£¬ÏÖÒÑÓµÓÐ3Ìõ¸ßµÈ¼îÐÔÄÍ»ðÖÊÁÏÉú²úÏߣ¬£¬£¬£¬£¬£¬£¬²¢Å䱸ÁËÅ̹ÜÎü¸½Ê½ÓàÈȽÓÄÉϵͳ¡£¡£¡£¡£¡£ºÓÄÏÈðÌ©×¢ÖØ¸ßι¤ÒµµÄ½ÚÄܽµÌ¼£¬£¬£¬£¬£¬£¬£¬Êǹú¼Ò¼¶ÂÌÉ«¹¤³§£¬£¬£¬£¬£¬£¬£¬×Ô2016ÄêÀ´Ò»Ö±ÖÂÁ¦ÓÚ×°Åäʽ½ÚÄÜÒ¤³ÄÊÖÒÕÔÚË®Ä๤ҵµÄÓ¦ÓÃÑо¿£¬£¬£¬£¬£¬£¬£¬ÏȺóͬºÓÄÏÖÐÁªÍ¬Á¦¡¢É½¶«¹¤ÌÕÔºµÈ¶à¼Òµ¥Î»ÍŽáÁ¢Òì¹¥¹Ø²¢ÊµÑéÁ˹¤Òµ¹¤³Ì»¯¡£¡£¡£¡£¡£ÏÖÔÚÓ¦ÓÃÓÚºÓÄÏÖÐÁªÍ¬Á¦¡¢É½¶«¼°ÄÏ·½Ë®ÄàµÈ9Ìõ5000t/dË®ÄàÊìÁÏÉú²úÏߣ¬£¬£¬£¬£¬£¬£¬½ÚÄܽµÌ¼Ð§¹ûÓÅÒì¡£¡£¡£¡£¡£

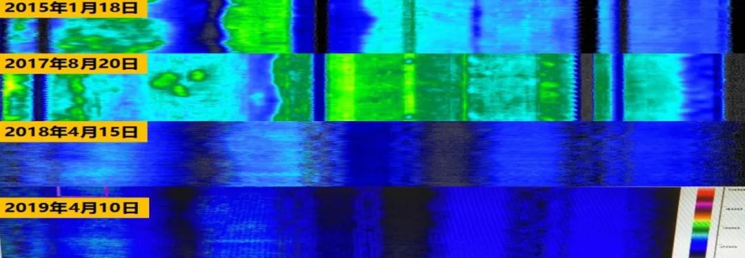
Ë®ÄàÒ¤Ö÷»úʵʱµçÁ÷±ÈÕÕ

Ë®ÄàҤͲÌåζÈɨÃè±ÈÕÕ
ºÓÄÏÖÐÁªÍ¬Á¦µÄÂåÑôÖÐÁª5000t/dË®ÄàÒ¤ÊÇ×îÔçʹÓÃÒÔÆøÄý½ºÎª¸ôÈÈÖÊÁϵÄ×°Åäʽ½ÚÄÜÒ¤³ÄÊÖÒյĹ¤Òµ»¯ÏîÄ¿£¬£¬£¬£¬£¬£¬£¬¾±ÈÕղⶨ£¬£¬£¬£¬£¬£¬£¬ÓëÆöÖþ¹Å°åÄÍ»ðשÏà±È£¬£¬£¬£¬£¬£¬£¬¸ÃÊÖÒÕÓÐÓýµµÍҤͲÌåÍâòζÈ90-130¡æ£¬£¬£¬£¬£¬£¬£¬»Ø×ªÒ¤Ò¤³ÄÖÊÁÏÕûÌåÖØÁ¿½µµÍ122t£¬£¬£¬£¬£¬£¬£¬½µµÍ·ù¶ÈΪ18.8%£¬£¬£¬£¬£¬£¬£¬»Ø×ªÒ¤Ö÷»úÔËÐеçÁ÷Ͻµ250-300A£¬£¬£¬£¬£¬£¬£¬¶ÖÊìÁÏ×ۺϵçºÄϽµ1-2kWh£¬£¬£¬£¬£¬£¬£¬Êµ²â¶ÖÊìÁϱê׼úºÄ½µµÍ1.0-3.5kg£¬£¬£¬£¬£¬£¬£¬È¡µÃÁËÇáÁ¿½Úµç¡¢±£Î½ÚúºÍÄܺļõ̼µÄÏÔÖøÐ§¹û¡£¡£¡£¡£¡£Í¬Ê±£¬£¬£¬£¬£¬£¬£¬ÉճɴøÒ¤³ÄËù¹ÒµÄҤƤ±¡¶øÖÂÃÜÀο¿£¬£¬£¬£¬£¬£¬£¬²»µ«Ê¹Ò¤³ÄµÄÊÂÈËÇé»ñµÃÁ˺ܺñ£»£»£»£»£»£»£»¤£¬£¬£¬£¬£¬£¬£¬»¹ÔöÌíÁËÒ¤ÄÚÓÐÓýØÃæ»ýÔ¼9.35%£¬£¬£¬£¬£¬£¬£¬ÊµÏÖÁËÀ©¾¶Ôö²ú£¬£¬£¬£¬£¬£¬£¬È¡µÃÁËÓÅÒìµÄ¾¼ÃÐ§ÒæºÍÂÌÉ«½µÌ¼µÄÉç»áÐ§Òæ¡£¡£¡£¡£¡£
ÊÖÒÕÔÀíºÍËÄ´óÁ¢Òì ÊÖÒÕÔÀí
×°Åäʽ½ÚÄÜÒ¤³ÄÔËÓÃÁË·Ö¶Îʽõè¾¶¸ôÈÈÔÀí£¬£¬£¬£¬£¬£¬£¬ÐγÉÁ˰üÀ¨ÊÂÇé²ã¡¢¹¦Ð§²ãºÍ±£Î²ãµÄ¹¦Ð§Ò»Ì廯¼¯³ÉÄ£¿£¿£¿£¿£¿£¿é£¨PUC£©½á¹¹£¬£¬£¬£¬£¬£¬£¬´´ÔìÁËÆøÄý½ºÖÊÁÏÐÔÄÜʩչÎȹ̵ÄÈÈÁ¦³¡ºÍÓ¦Á¦³¡¡£¡£¡£¡£¡£¸ßÎÂÊÂÇé²ã½ÓÄÉ΢¿×ÇáÁ¿»¯ÄÍ»ðש£¨Î人¿Æ¼¼´óѧ¿Æ¼¼Á¢ÒìЧ¹ûת»¯£©£¬£¬£¬£¬£¬£¬£¬ÓëÒ»Ñùƽ³£ÄÍ»ðשÏà±È¾ßÓеÍÃܸßÇ¿ºÍµÍµ¼ÈȵÄÊÖÒÕÌØÕ÷£¬£¬£¬£¬£¬£¬£¬Äܹ»ÔÚ¶Ô¿¹¸ßÎÂÏÂË®ÄàÎïÁϵÄÇÖÊ´ºÍ³åÏ´×÷ÓÃÌõ¼þÏÂÆðµ½½µµÍµ¼ÈȵÄ×÷Ó㻣»£»£»£»£»£»±£Î²ã½ÓÄÉ¿óÎï¼¶ÆøÄý½º¸ôÈÈÖÊÁÏ£¨É½¶«¹¤ÌÕÔºÑб¬·¢²ú£©£¬£¬£¬£¬£¬£¬£¬¾ßÓг¬µÍµÄµ¼ÈÈϵÊýºÍÓÅÒìµÄ½á¹¹ÎȹÌÐÔ£¬£¬£¬£¬£¬£¬£¬Äܹ»ÏÔÖø½µµÍҤͲÌåµÄÍâòζȣ»£»£»£»£»£»£»¹¦Ð§²ãÉèÖÃÁËÖ§³Ö½á¹¹£¬£¬£¬£¬£¬£¬£¬Äܹ»×èÖ¹ÆøÄý½º±£Î¸ôÈÈÖÊÁÏÔÚÔËÐÐÀú³ÌÖÐÒòÊÜÓ¦Á¦×÷Óñ¬·¢±äÐζøÊ§È¥¸ôÈÈÐÔÄÜ£¬£¬£¬£¬£¬£¬£¬°ü¹ÜÁËÒ¤³Ä½á¹¹µÄÇå¾²ÐÔºÍÄÍÓÃÐÔ¡£¡£¡£¡£¡£

Ä£¿£¿£¿£¿£¿£¿é»¯½ÚÄÜÒ¤³Ä×é¼þ£¨PUC£©
ËÄ´óÁ¢Òì ÖÊÁÏÁ¢Ò죺ͨ¹ýÔλÆÊÎöºÏ³ÉÊÖÒÕÖÆ±¸¾ßÓе͵¼ÈÈÌØµãµÄÇáÁ¿»¯×©£¬£¬£¬£¬£¬£¬£¬ÐγÉÁËÄÍ»ðÊÂÇé²ã×Ô±£Î¾§Ïà½á¹¹¡£¡£¡£¡£¡£Ôö½ø½ÚÄÜÒ¤³ÄµÄ¿ÆÑ§Î¶ÈÌݶÈÂþÑܲ¢ÊµÏÖ·Ö²ã¸ôÈÈ¡£¡£¡£¡£¡£ ½á¹¹Á¢Ò죺ͨ¹ý½á¹¹¹¦Ð§Ò»Ì廯¼¯³ÉÖÆÔìÊÖÒÕ£¬£¬£¬£¬£¬£¬£¬ÐγɺÏÀíµÄζȳ¡£¬£¬£¬£¬£¬£¬£¬²¢Í¨¹ý¹¦Ð§²ãµÄ¿Õ¼äÇå¾²Éè¼Æ£¬£¬£¬£¬£¬£¬£¬Ê¹¸ßÎÂÐÔÄܲî±ðµÄ¸÷²ÄÖÊÖÆÆ·¾ù´¦ÔÚÇå¾²Îȹ̵ÄÓ¦Óó¡¾°ÖС£¡£¡£¡£¡£ Ó¦Óó¡¾°Á¢Òì£ºÎªÆøÄý½ºÖÊÁÏÔÚ¸ßÎÂҤ¯µÄÓ¦ÓÃÌṩÁËÇå¾²ÔØÌå¡£¡£¡£¡£¡£ ÖÇÄÜ»¯Ó¦ÓÃÁ¢Ò죺½«ÖÇÄÜ»¯¡¢ÐÅÏ¢»¯ÊÖÒÕÓë½ÚÄÜÒ¤³ÄµÄÉú²ú¡¢Ê©¹¤¹¤ÒÕÏàÍŽᣬ£¬£¬£¬£¬£¬£¬Ñз¢Éè¼ÆÁË×°ÅäʽÖÇÄÜ×°ÖÃ×°±¸ºÍÖÇÄÜ×Ô¶¯»¯PUC¼þÉú²úÏß¡£¡£¡£¡£¡£

¸÷¼¶¡¢¸÷½çÏòµ¼×¨¼Òµ÷ÑÐÖ¸µ¼ÊÂÇé
¸ÃÏîÄ¿ÓÐÓýµµÍÁËË®ÄàÉÕ³ÉϵͳµÄÄÜÔ´ÏûºÄºÍ̼ÅÅ·Å£¬£¬£¬£¬£¬£¬£¬ÎªË®ÄàÐÐÒµµÄ½µ±¾ÔöЧºÍÂÌÉ«Éú³¤ÌṩÁËмƻ®£¬£¬£¬£¬£¬£¬£¬Êܵ½¸÷¼¶Ïòµ¼¡¢×¨¼ÒµÄ¸ß¶È¹Ø×¢Ó붦Á¦´ó¾ÙÖ§³Ö¡£¡£¡£¡£¡£2018Ä꣬£¬£¬£¬£¬£¬£¬¸ÃÏîÊÖÒÕ¾ÖпÆÔºÔºÊ¿¡¢¸ßУ½ÌÊÚºÍÐÐҵר¼ÒÅäºÏÆÀÉ󣬣¬£¬£¬£¬£¬£¬È϶¨Îª¡°º£ÄÚÍâÊ×´´£¬£¬£¬£¬£¬£¬£¬¹ú¼ÊÁìÏÈ¡±£¬£¬£¬£¬£¬£¬£¬²¢ÏȺóÈëÑ¡Á˹ú¼Ò¹¤ÐŲ¿¡¶¹¤Òµ½ÚÄÜÊÖÒÕ×°±¸ÍƼöĿ¼¡·ºÍ·¢¸Äί¡¶ÂÌÉ«ÊÖÒÕÍÆ¹ãĿ¼¡·£¬£¬£¬£¬£¬£¬£¬Ó®µÃÁ˸ßÎÂÐÐÒµµÄÆÕ±é¹Ø×¢ºÍÔÞÓþ¡£¡£¡£¡£¡£
ΪȫÁ¦ÍÆÏÂÊÖÒÕ¹¥¹Ø£¬£¬£¬£¬£¬£¬£¬¼ÓËÙÍÆ¹ã½ø¶È¡£¡£¡£¡£¡£2021Ä꣬£¬£¬£¬£¬£¬£¬¸ÃÏîÄ¿±»Î¤µÂÍøÕ¾¹Ù·½Èë¿Ú¼¯ÍÅÁÐÈëÔ´´ÊÖÒÕ²ßÔ´µØºÍÒªº¦½¹µãÊÖÒÕ¹¥¹Ø¡°½Ò°ñ¹Ò˧¡±ÏîÄ¿Çåµ¥¡£¡£¡£¡£¡£2022Äê3ÔÂ4ÈÕ£¬£¬£¬£¬£¬£¬£¬Î¤µÂÍøÕ¾¹Ù·½Èë¿Ú¼¯Íŵ³Î¯¸±Êé¼Ç¡¢×Ü˾ÀíÀîлªÏòµ¼Î¤µÂÍøÕ¾¹Ù·½Èë¿Ú¹É·Ý¹«Ë¾µ³Î¯Î¯Ô±¡¢¸±×ܲÃÓàÃ÷Ç壬£¬£¬£¬£¬£¬£¬Î¤µÂÍøÕ¾¹Ù·½Èë¿Ú×ÜÔºµ³Î¯Êé¼Ç¡¢¶Ê³¤ÂíÕñÖé±È¼°ºÓÄÏÈðÌ©¾ÙÐÐרÌâµ÷ÑкÍÊÂÇéÖ¸µ¼¡£¡£¡£¡£¡£
ÐͬÁ¢ÒìÒýÁ죬£¬£¬£¬£¬£¬£¬Óµ£ÑëÆóʹÃü
¹ú×ÊÑëÆóÊÇ×ßÊ¢Òâϵ¡°¹úÖ®´óÕß¡±µÄµÚÒ»·½Õ󣬣¬£¬£¬£¬£¬£¬¼ç¸º×ÅÉú³¤×³´ó¹úÓо¼ÃµÄÖØÈΡ£¡£¡£¡£¡£×ߺõÚÒ»·½Õ󣬣¬£¬£¬£¬£¬£¬Òâζ×ÅÒª³åÔÚ×îÇ°Ãæ£¬£¬£¬£¬£¬£¬£¬×öÍ·Ñ㣬£¬£¬£¬£¬£¬£¬µ±±ê¸Ë£¬£¬£¬£¬£¬£¬£¬Òª¾ßÓиÒÓÚ¡°³Ôó¦Ð·¡±µÄÁ¢Ò쾫Éñ¡£¡£¡£¡£¡£ÐÄϵ¡°¹úÖ®´óÕß¡±£¬£¬£¬£¬£¬£¬£¬²»»áÖ»¹ËÆóÒµÖ®Àû£¬£¬£¬£¬£¬£¬£¬Ò²²»»áÖ»¼ÆÑÛǰ֮Àû¡£¡£¡£¡£¡£Ë×»°Ëµ¡°ÍòÊ¿ªÍ·ÄÑ¡±£¬£¬£¬£¬£¬£¬£¬ÈκÎÇ㸲ÐÔÁ¢ÒìµÄ×îÏȶ¼¾ßÓв»È·¶¨ÐÔ£¬£¬£¬£¬£¬£¬£¬Ä£¿£¿£¿£¿£¿£¿é»¯½ÚÄÜÒ¤³ÄÏîĿδ¹¤Òµ»¯ÊµÑéǰ£¬£¬£¬£¬£¬£¬£¬²»È·¶¨ÒòËØ¶à£¬£¬£¬£¬£¬£¬£¬ÉõÖÁ¾ßÓÐÒ»¶¨µÄΣº¦ÐÔ£¬£¬£¬£¬£¬£¬£¬µ«ÔÚ¼¯ÍŵÄÍçÇ¿Ïòµ¼Ï£¬£¬£¬£¬£¬£¬£¬ÆìϵÄË®ÄàºÍÄÍ²ÄÆóÒµÓÂÓÚ¼ÌÐø¡¢ÍŽṥ¹Ø£¬£¬£¬£¬£¬£¬£¬ÐÐҵר¼Ò¿ÆÑ§ÂÛÖ¤£¬£¬£¬£¬£¬£¬£¬Ê¹ÏîÄ¿ÎȲ½ÊµÑ鲢ȡµÃÓÅÒìЧ¹û¡£¡£¡£¡£¡£³ä·ÖÑéÕ¹ÁËÖÐÑëÆóÒµµÄ×ÊÔ´ÕûºÏÓëÐͬÓÅÊÆ£¬£¬£¬£¬£¬£¬£¬ÎªÍƽøË®Ä๤ҵÔÚ¡°Ë«Ì¼¡±¾¼ÃÅ侰ϵÄÉú³¤ÌṩÁËÔ´´ÐԼƻ®¡£¡£¡£¡£¡£

ÖÇÄÜ×°ÅäÓ¦ÓÃÊÖÒÕ
¡¶Öй²ÖÐÑë¹úÎñÔº¹ØÓÚÍêÕû׼ȷÖÜÈ«¹á³¹ÐÂÉú³¤ÀíÄî×öºÃ̼´ï·å̼ÖкÍÊÂÇéµÄÒâ¼û¡·Ö¸³ö£ºÊµÏÖ̼´ï·å¡¢Ì¼Öкͣ¬£¬£¬£¬£¬£¬£¬ÊÇÒÔϰ½üƽͬ־Ϊ½¹µãµÄµ³ÖÐÑëͳ³ïº£ÄÚ¹ú¼ÊÁ½¸öÕóÊÆ×÷³öµÄÖØ´óÕ½ÂÔ¾öÒ飬£¬£¬£¬£¬£¬£¬ÊÇ×ÅÁ¦½â¾ö×ÊÔ´ÇéÐÎÔ¼ÊøÍ»³öÎÊÌ⡢ʵÏÖÖлªÃñ×åÓÀÐøÉú³¤µÄÒ»¶¨Ñ¡Ôñ£¬£¬£¬£¬£¬£¬£¬Êǹ¹½¨ÈËÀàÔËÆøÅäºÏÌåµÄם֨ÔÊÐí¡£¡£¡£¡£¡£
δÀ´£¬£¬£¬£¬£¬£¬£¬ºÓÄÏÈðÌ©½«¼ÌÐø³Ð¼ÌΤµÂÍøÕ¾¹Ù·½Èë¿Ú¼¯ÍÅ¡°ÖÊÁÏ´´ÔìÓÅÃÀÌìÏ¡±µÄÆóҵʹÃü£¬£¬£¬£¬£¬£¬£¬ÓÂÁ¢³±Í·¡¢Óµ£Ê¹Ãü¡¢ÓÂÅÅÍòÄÑ¡¢Óµ±¼¯ÍÅÁ¢ÒìÉú³¤µÄÏÈÐÐÕߣ¬£¬£¬£¬£¬£¬£¬ÈÏÕæ¼ùÐÐϰ½üÒ»Éú̬ÎÄÃ÷Í·ÄÔ£¬£¬£¬£¬£¬£¬£¬Î§Èƹú¼Ò¶Ô¸ßι¤ÒµÉú³¤Ìá³öµÄÆ«ÏòºÍÄ¿µÄ£¬£¬£¬£¬£¬£¬£¬È«Á¦ÍƽøÂÌÉ«µÍ̼ÊÖÒÕÑз¢ºÍÍÆ¹ãÓ¦Ó㬣¬£¬£¬£¬£¬£¬¼ÓËÙÂÌɫ֯ÔìºÍ·þÎñϵͳ½¨É裬£¬£¬£¬£¬£¬£¬Íƶ¯ÆøÄý½ºÐÂÐÍÖÊÁÏÔÚË®Äà¡¢²£Á§ºÍÓÐÉ«µÈ¸ßι¤ÒµµÄ¹¤³Ì»¯Ó¦Ó㬣¬£¬£¬£¬£¬£¬ÖúÁ¦»ù´¡Î¤µÂÍøÕ¾¹Ù·½Èë¿ÚÏòן߶˻¯¡¢ÖÇÄÜ»¯ºÍÂÌÉ«»¯µÄÆ«ÏòÉú³¤¡£¡£¡£¡£¡£
